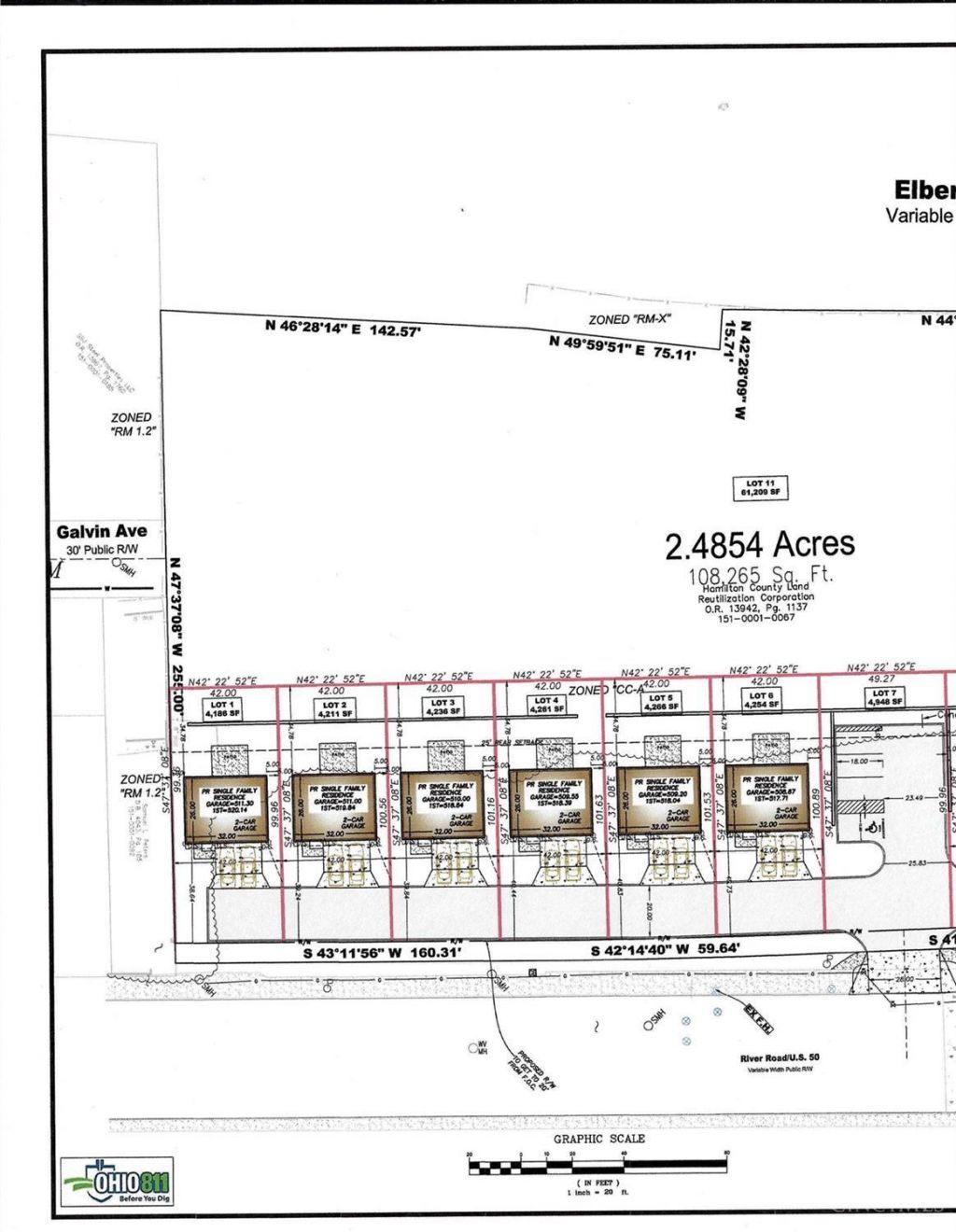
Get in one step above the ground floor of The Gateway of River Bend development. This project is approved and ready for someone to purchase this land and the accompanying engineering and hit the ground running with the development followed by construction of 9 single family lots with great River and City views. Concept house plans are included in this price or let your imagination take over and come up with the perfect house design. Should that first development go as we think it will there is another parcel just above this one with the concept being to have 9 more single family lots. This project is just waiting for the right...read more
Estimated Payment
$ 2,176.48 per month $2,045.23 Principal & Interest $0.00 Property Tax (data not provided by mls) $131.25 Homeowner's InsuranceListed By
Agency Name: Ohio Broker Direct
Agency Phone: 614-989-7215
Agent Name: Joan Elflein
Shown By
Agent Name: Chad Adams
Agent Phone: (937) 344-4380
Agency Title: Comey & Shepherd